Terreno en Belgrano

Terrenos · 1 ambientes · 372 m²

Olazabal al 2800, Belgrano, Capital Federal
USD 2.000.000
0
En venta

Características principales de la propiedad

Tipo

Terrenos

Dormitorios

0

Baños

0

Ambientes

1

Área Total

372

Publicado

4 de diciembre de 2024

Descripción

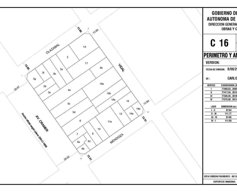
EXCELENTE LOTE - BELGRANO - 1.875 METROS VENDIBLESFrente (m): 17.32Fondo (m): 21.48Sup. total del terreno (m2): 372Manzana Atípica: NOProtección APH: NO Ley de Pasajes: NO UNIDAD DE SUSTENTABILIDAD DE ALTURA ALTA (USAA)Altura Máxima (m): 22.80Planta Baja + 7 Pisos + 2 RetirosSUPERFICIE VENDIBLE (m2)...

Características

No apto para estudiantesNo apto para mascotasNo apto creditoIdeal para renovacionPapeles al dia

Ubicación

Planos

Plano 1
Plano 2
Plano 3

Análisis de mercado

Información del agente

I

Inmobiliaria

¿Sos de esta inmobiliaria?

Reclamá tu perfil gratis y conseguí más leads calificados con IA. Sin comisiones, sin límites.

Conocer más

Información sobre los datos

Los derechos de los datos de esta propiedad pertenecen a la inmobiliaria correspondiente. Roomix utiliza múltiples fuentes de portales inmobiliarios como ZonaProp, Argenprop, Mercado Libre y otros para indexar y mostrar propiedades disponibles en Argentina. Esta información se presenta únicamente con fines informativos y de búsqueda.

Propiedades cercanas

Propiedades similares