Terreno en Monserrat

Terrenos · 1 ambientes · 2508 m²

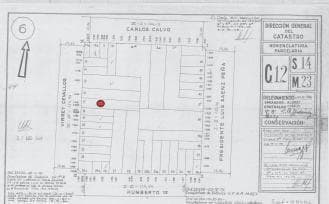
Virrey Cevallos, Monserrat, Capital Federal
USD 780.000
0
En venta

Características principales de la propiedad

Tipo

Terrenos

Dormitorios

0

Baños

0

Ambientes

1

Área Total

2508

Área Cubierta

2508

Publicado

9 de abril de 2024

Descripción

---TERRENO EN VENTA---Cuenta para construir: subsuelo, planta baja y 9 pisosM2 unidades: 2463M2 cocheras: 15M2 local: 30-Excelente ubicación: Virrey Cevallos 1400, entre Humberto 1° y Carlos Calvo. Con varias líneas de transporte cercanas: Colectivos:6, 8, 12, 23, 37, 39, 46, 50, 53, 57, 60, 84, 90...

Características

Cerca de transporte publico

Ubicación

Planos

Plano 1
Plano 2
Plano 3
Plano 4

Análisis de mercado

Información del agente

I

Inmobiliaria

¿Sos de esta inmobiliaria?

Reclamá tu perfil gratis y conseguí más leads calificados con IA. Sin comisiones, sin límites.

Conocer más

Información sobre los datos

Los derechos de los datos de esta propiedad pertenecen a la inmobiliaria correspondiente. Roomix utiliza múltiples fuentes de portales inmobiliarios como ZonaProp, Argenprop, Mercado Libre y otros para indexar y mostrar propiedades disponibles en Argentina. Esta información se presenta únicamente con fines informativos y de búsqueda.

Propiedades cercanas

Propiedades similares