Garage en Block Sarmiento 529 - Oportunidad de Inversion - San Nicolas

Terrenos · 1 ambientes · 423 m²

Sarmiento al 500, San Nicolás, Capital Federal
USD 1.700.000
0
En venta

Características principales de la propiedad

Tipo

Terrenos

Dormitorios

0

Baños

0

Ambientes

1

Área Total

423

Publicado

11 de julio de 2024

Descripción

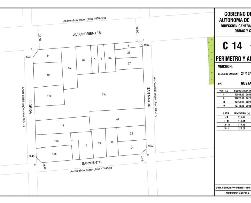
EXCELENTE LOTE - SAN NICOLÁS - 3.050 METROS CUBIERTOSFrente (m): 13,30Fondo (m): 31,81Sup. total del terreno (m2): 423Manzana Atípica: NO Ley de Pasajes: NO DISTRITO: APH 51SUBZONA: 1Altura Máxima (m): 21Basamento (m): 10Planta Baja + 6 Pisos + 2 Retiro CAPACIDAD CONSTRUCTIVA (m2): 3.050 Pieza de aj...

Ubicación

Planos

Plano 1
Plano 2
Plano 3

Análisis de mercado

Información del agente

I

Inmobiliaria

¿Sos de esta inmobiliaria?

Reclamá tu perfil gratis y conseguí más leads calificados con IA. Sin comisiones, sin límites.

Conocer más

Información sobre los datos

Los derechos de los datos de esta propiedad pertenecen a la inmobiliaria correspondiente. Roomix utiliza múltiples fuentes de portales inmobiliarios como ZonaProp, Argenprop, Mercado Libre y otros para indexar y mostrar propiedades disponibles en Argentina. Esta información se presenta únicamente con fines informativos y de búsqueda.

Propiedades cercanas

Propiedades similares