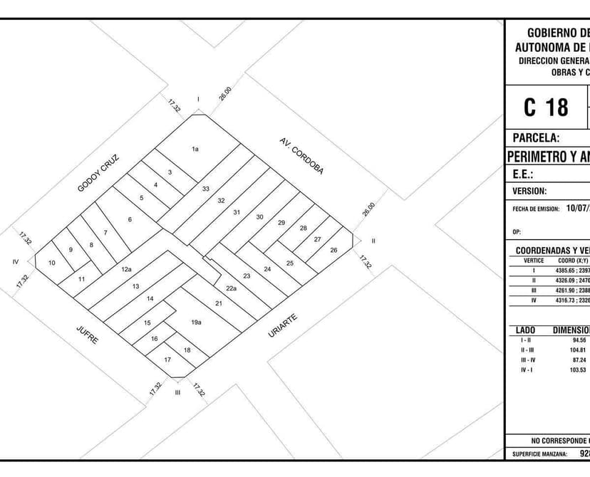
Terreno - Venta - Tres Lotes en Esquina - 4.300 m² Edificables - Villa Crespo

Terrenos · 1 ambientes · 4300 m²

Jufre y Uriarte, Villa Crespo, Capital Federal
USD 2.600.000
0
En venta

Características principales de la propiedad

Tipo

Terrenos

Dormitorios

0

Baños

0

Ambientes

1

Área Total

4300

Publicado

6 de febrero de 2025

Descripción

LOTE TRIPLE en Villa Crespo – Oportunidad Única para Desarrolladores Ubicado en Jufré y Uriarte, en el corazón de Villa Crespo, este lote triple ofrece una oportunidad inmejorable para un desarrollo de gran escala. Con 48,09 metros lineales de frente y un terreno de 880 m², el pro...

Características

Cerca de transporte publicoApto profesionalIdeal para renovacion

Ubicación

Planos

Plano 1
Plano 2
Plano 3
Plano 4
Plano 5
Plano 6

Análisis de mercado

Información del agente

Gimenez Inmuebles

Gimenez Inmuebles

¿Sos de esta inmobiliaria?

Reclamá tu perfil gratis y conseguí más leads calificados con IA. Sin comisiones, sin límites.

Conocer más

Información sobre los datos

Los derechos de los datos de esta propiedad pertenecen a la inmobiliaria correspondiente. Roomix utiliza múltiples fuentes de portales inmobiliarios como ZonaProp, Argenprop, Mercado Libre y otros para indexar y mostrar propiedades disponibles en Argentina. Esta información se presenta únicamente con fines informativos y de búsqueda.

Propiedades cercanas

Propiedades similares