Terreno - Lote en Balvanera Venta Oportunidad

Terrenos · 1 ambientes · 629 m²

Av. Jujuy al 500, Balvanera, Capital Federal
USD 1.550.000
0
En venta

Características principales de la propiedad

Tipo

Terrenos

Dormitorios

0

Baños

0

Ambientes

1

Área Total

629

Publicado

4 de agosto de 2023

Descripción

Terreno / Lote / Garage en venta OPORTUNIDAD La propiedad se encuentra ubicada en un punto estratégico de la Capital Federal, sobre la Av. Jujuy, a 200 mts de la Av. Independencia y 200 mts de la Av. Belgrano. Cerca de innumerables medios de transporte como así también de propieda...

Características

Cerca de transporte publicoApto creditoPapeles al dia

Ubicación

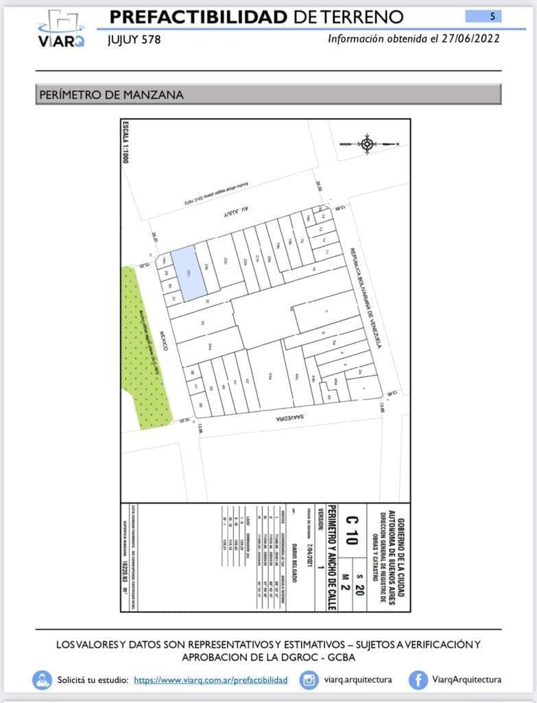
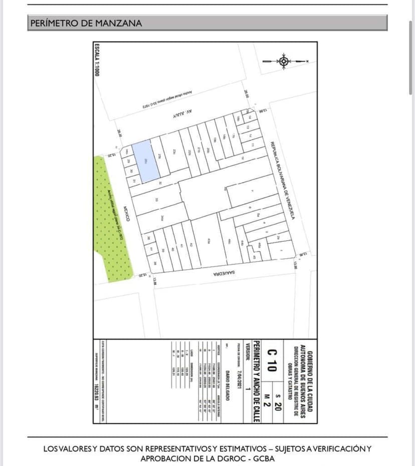
Planos

Plano 1
Plano 2
Plano 3
Plano 4
Plano 5

Análisis de mercado

Información del agente

I

Inmobiliaria

¿Sos de esta inmobiliaria?

Reclamá tu perfil gratis y conseguí más leads calificados con IA. Sin comisiones, sin límites.

Conocer más

Información sobre los datos

Los derechos de los datos de esta propiedad pertenecen a la inmobiliaria correspondiente. Roomix utiliza múltiples fuentes de portales inmobiliarios como ZonaProp, Argenprop, Mercado Libre y otros para indexar y mostrar propiedades disponibles en Argentina. Esta información se presenta únicamente con fines informativos y de búsqueda.

Propiedades cercanas

Propiedades similares