Loteo Ideal Para Desarrollo Industrial

Terrenos · 1 ambientes · 1250 m²

Cabo Ppal Raul Omar Gorordo , Jorge Newbery, Córdoba
USD 75.000
0
En venta

Características principales de la propiedad

Tipo

Terrenos

Dormitorios

0

Baños

0

Ambientes

1

Área Total

1250

Área Cubierta

1250

Publicado

22 de septiembre de 2023

Descripción

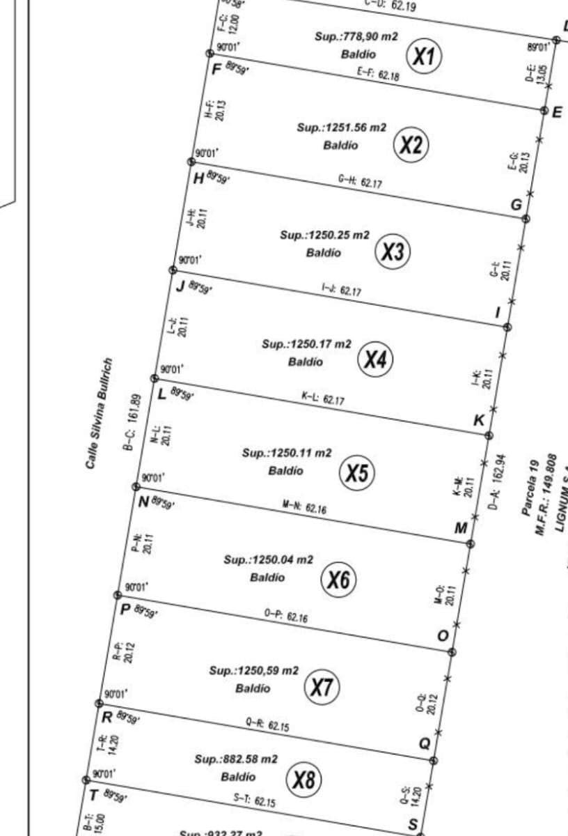
Group-Lon / Inmobiliaria Vende Loteo para Galpon Industrial 1 dársena se estacionamiento comun ( 30 estacionamientos p autos ) 932 mts2 2 terreno oficinas 882 mts2 3 terreno galpon. 1250 mts2 4 terreno galpon. 1250 mts2 5 terrenl galpon. 1250 mts2 6 terreno galpon. 1250 mts2 7 terreno galpon 1250 mt...

Características

Papeles al dia

Ubicación

Planos

Plano 1
Plano 2

Análisis de mercado

Información del agente

I

Inmobiliaria

¿Sos de esta inmobiliaria?

Reclamá tu perfil gratis y conseguí más leads calificados con IA. Sin comisiones, sin límites.

Conocer más

Información sobre los datos

Los derechos de los datos de esta propiedad pertenecen a la inmobiliaria correspondiente. Roomix utiliza múltiples fuentes de portales inmobiliarios como ZonaProp, Argenprop, Mercado Libre y otros para indexar y mostrar propiedades disponibles en Argentina. Esta información se presenta únicamente con fines informativos y de búsqueda.

Propiedades cercanas

Propiedades similares