Imponente Lote de 8,66 m Fte. X51,62 m + Martillo. Corr. Medio.

Terrenos · 1 ambientes · 1 m²

Pasco 700, Monserrat, Capital Federal
USD 750.000
0
En venta

Características principales de la propiedad

Tipo

Terrenos

Dormitorios

0

Baños

0

Ambientes

1

Área Total

1

Antigüedad

1 año

Publicado

24 de julio de 2023

Descripción

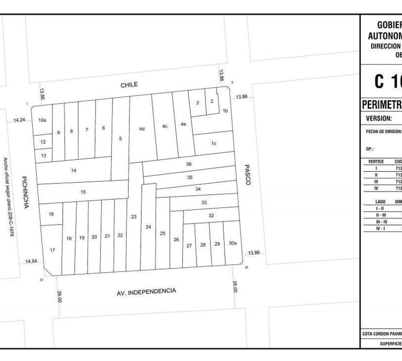
Se trata de un excelente lote de 8,66mts fte. x 51,62mts fondo + martillo (54,80mts). CORREDOR MEDIO 31,2mts. altura máxima + retiros La ubicación es estratégica para generar un desarrollo. Con amplia capacidad constructiva. Aguardamos su consulta!!!

Ubicación

Planos

Plano 1
Plano 2

Análisis de mercado

Información del agente

I

Inmobiliaria

¿Sos de esta inmobiliaria?

Reclamá tu perfil gratis y conseguí más leads calificados con IA. Sin comisiones, sin límites.

Conocer más

Información sobre los datos

Los derechos de los datos de esta propiedad pertenecen a la inmobiliaria correspondiente. Roomix utiliza múltiples fuentes de portales inmobiliarios como ZonaProp, Argenprop, Mercado Libre y otros para indexar y mostrar propiedades disponibles en Argentina. Esta información se presenta únicamente con fines informativos y de búsqueda.

Propiedades cercanas

Propiedades similares