Vende Fraccion 4000 m² /ideal Emprendimiento Inmobiliario/ Sourigues.

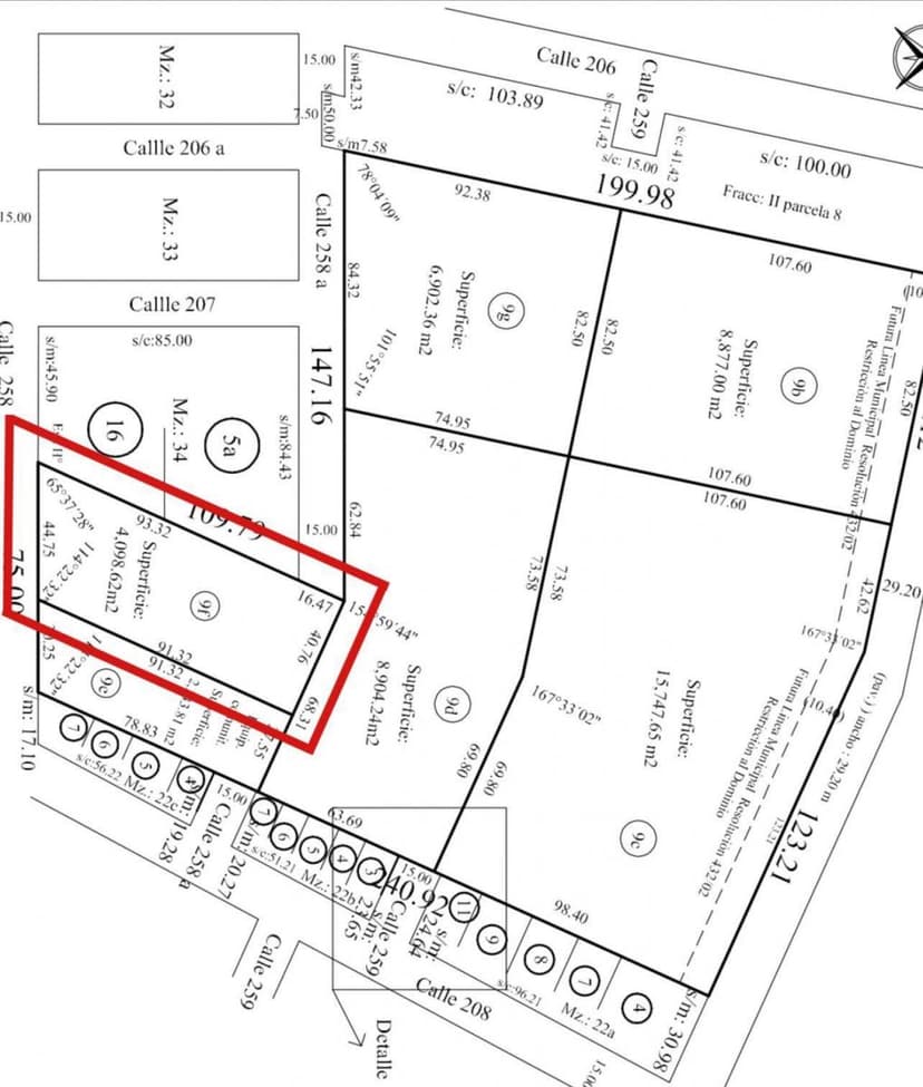
Terrenos · 1 ambientes · 4098 m²

Calle 258 y 208, Sourigues, Berazategui
USD 220.000
0
En venta

Características principales de la propiedad

Tipo

Terrenos

Dormitorios

0

Baños

0

Ambientes

1

Área Total

4098

Antigüedad

1 año

Publicado

5 de enero de 2024

Descripción

Oportunidad !! Fracción 4000 mt2 aprox. Frente: 44 mts aprox Largo: 93 aprox. Lindero a Barrio Cerrado Vicente Federico 1º. El lote se encuentra en la calle 258 entre 207 y 208, en la localidad de Sourigues. De rápido acceso a autopista Bs As La Plata.

Características

En barrio privado

Ubicación

Planos

Plano 1

Análisis de mercado

Historial de Precios

Evolución del precio desde la publicación original

USD 220.000
Precio actual
Esta propiedad bajó un 18.5% su precio desde que se publicó
5 ene - 26 sept
USD -50.000(-18.5%)
Precio Original
USD 270.000
Precio Actual
USD 220.000
Cambios de Precio
2

Información del agente

I

Inmobiliaria

¿Sos de esta inmobiliaria?

Reclamá tu perfil gratis y conseguí más leads calificados con IA. Sin comisiones, sin límites.

Conocer más

Información sobre los datos

Los derechos de los datos de esta propiedad pertenecen a la inmobiliaria correspondiente. Roomix utiliza múltiples fuentes de portales inmobiliarios como ZonaProp, Argenprop, Mercado Libre y otros para indexar y mostrar propiedades disponibles en Argentina. Esta información se presenta únicamente con fines informativos y de búsqueda.

Propiedades cercanas

Propiedades similares