Doble Frente*obelisco! Terreno

Terrenos · 1 ambientes · 298 m²

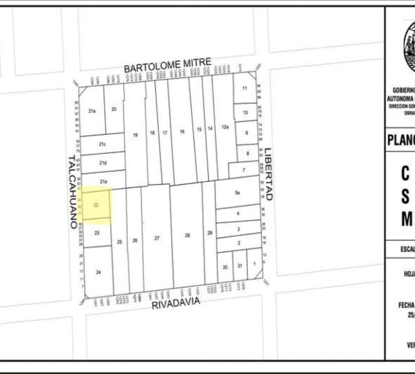
Talcahuano 100, San Nicolás, Capital Federal
USD 749.000
0
En venta

Características principales de la propiedad

Tipo

Terrenos

Dormitorios

0

Baños

0

Ambientes

1

Área Total

298

Área Cubierta

298

Publicado

4 de diciembre de 2024

Descripción

DESCRIPCION: TALCAHUANO 45 (ENTRE BARTOLOMÉ MITRE Y RIVADAVIA, C.A.B.A.) Características: Zonificacion s/ Código Urbanístico: U.S.A.A. ( UNIDAD DE SUSTENTABILIDAD DE ALTURA ALTA) Tipo de manzana: TÍPICA Superficie lote: 297,90 M^2. MEDIDAS 15,74M X 18,89M Sup. Edificable en planta: 250 M^2 Tipología...

Ubicación

Planos

Plano 1
Plano 2
Plano 3
Plano 4
Plano 5

Análisis de mercado

Información del agente

I

Inmobiliaria

¿Sos de esta inmobiliaria?

Reclamá tu perfil gratis y conseguí más leads calificados con IA. Sin comisiones, sin límites.

Conocer más

Información sobre los datos

Los derechos de los datos de esta propiedad pertenecen a la inmobiliaria correspondiente. Roomix utiliza múltiples fuentes de portales inmobiliarios como ZonaProp, Argenprop, Mercado Libre y otros para indexar y mostrar propiedades disponibles en Argentina. Esta información se presenta únicamente con fines informativos y de búsqueda.

Propiedades cercanas

Propiedades similares